• Post Reply Bookmark Topic Watch Topic
  • New Topic
permaculture forums growies critters building homesteading energy monies kitchen purity ungarbage community wilderness fiber arts art permaculture artisans regional education skip experiences global resources cider press projects digital market permies.com pie forums private forums all forums
this forum made possible by our volunteer staff, including ...
master stewards:
  • Carla Burke
  • Nancy Reading
  • r ransom
  • John F Dean
  • paul wheaton
  • Jay Angler
stewards:
  • Timothy Norton
  • Pearl Sutton
  • Tereza Okava
master gardeners:
  • Christopher Weeks
  • M Ljin
gardeners:
  • Jeremy VanGelder
  • Matt McSpadden
  • thomas rubino

Apple Tree curling leaves / wilting.

 
Posts: 1
  • Likes 2
  • Mark post as helpful
  • send pies
    Number of slices to send:
    Optional 'thank-you' note:
  • Quote
  • Report post to moderator
Hello everyone,
Found this great forum about trees and fruit tree,  so here is my first post.
I'm wondering if anyone can help me out with my dwarf red delicious apple tree. I'm novice as far as fruit trees are concerned and this my first fruit tree. I live in hardiness zone 8/8b ( pacific northwest ).

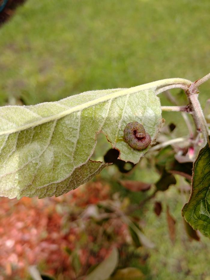
The tree is in its second year, I planted it Feb 2019.  First year it did not flower as expected, but showed curl on the leaves, but didn't look serious and leaves remained green till fall.  This year, the tree flowered and actually got one apple (still tiny). The tree had good growth initially and added at least 4-5 inches.  The tree is very small barely 5 and half feet. But then the curling of leaves started again. Unlike last year, curling followed with almost wilting ( brown colored leaves, please see photo ). This happened in just last 2-3 weeks. I found a few caterpillars eating leaves as well, I removed them. I don't think though the caterpillar is the problem for the condition of the tree.

I added mulch last fall, I am not sure if that's the problem. ( please see photos )
My dog urinates around the tree all the time, so wondering if that is the problem.  But keeps raining in Seattle are so I thought it would wash away.
Or is this some kind of tree disease ?

Thanks in advance for the help.
AD

20200607_121203_HDR.jpg
Fresh Growth, now in bad shape.
Fresh Growth, now in bad shape.
20200607_121300_HDR.jpg
Caterpillar
Caterpillar
20200607_121441_HDR.jpg
Mulch and wilted leaves
Mulch and wilted leaves
 
gardener
Posts: 499
Location: Nara, Japan. Zone 8-ish
376
2
kids dog forest garden personal care trees foraging
  • Mark post as helpful
  • send pies
    Number of slices to send:
    Optional 'thank-you' note:
  • Quote
  • Report post to moderator
Hi Abhi, Welcome to permies!

I think it could be a potassium deficiency or it could be thirsty. Sometimes it seems to rain a lot, but not heavy enough to really soak the soil deep enough for young trees especially if they are surrounded by grass.

Your  pictures look similar to the ones in this atlas under potassium deficiency and drought in apples: https://realenglishfruit.co.uk/diagnostic-leaf-atlas/
 
This guy is skipping without a rope. At least, that's what this tiny ad said:
Your suggestions have been mashed into the PIE page - wuddyathink?
https://permies.com/t/369924/suggestions-mashed-PIE-page-wuddyathink
reply
    Bookmark Topic Watch Topic
  • New Topic