• Post Reply Bookmark Topic Watch Topic
  • New Topic
permaculture forums growies critters building homesteading energy monies kitchen purity ungarbage community wilderness fiber arts art permaculture artisans regional education skip experiences global resources cider press projects digital market permies.com pie forums private forums all forums
this forum made possible by our volunteer staff, including ...
master stewards:
  • Carla Burke
  • John F Dean
  • r ransom
  • Nancy Reading
  • Timothy Norton
  • Jay Angler
stewards:
  • paul wheaton
  • Pearl Sutton
  • Eric Hanson
master gardeners:
  • Christopher Weeks
  • M Ljin
gardeners:
  • thomas rubino
  • Megan Palmer
  • Benjamin Dinkel

Tropical fruit in greenhouse zone 6b

 
Posts: 69
Location: Southern illinois
18
  • Likes 3
  • Mark post as helpful
  • send pies
    Number of slices to send:
    Optional 'thank-you' note:
  • Quote
  • Report post to moderator
Hello, I have a few questions for people familiar with tropical fruit or growing them out of their element...

I guess I'll start with the banana trees I have growing, is there a certain fertilizer I should give them to initiate flowering? These things have trunks 12" diameter and they are now getting out of hand in my greenhouse. And what I mean by that is they are growing into the ceiling(10-12' as it rounds). Leaves are growing like curly pigtails then opening and the leaf is tore in a few spots but still green and growing. I'm just wondering if this will impede the flower from coming out and fruiting right. BTW I have two varieties, Blue Java and Dwarf Cavendish. Both are planted into the earth that has been a garden site for 10+ years so good soil and now has been woodchiped for 2-3years. We also heat the greenhouse with a wood stove to keep things above 50°f over night and threw winter. So they have it made. I expected the blue Java to get tall and be a possible issue but the dwarf Cavendish claimed to only get 8-10' tall which it's right there now and not having as bad of issue with curling leaves getting stuck in the ceiling and ripping.  Can this hurt the plant from flowering?

We also have 3 jackfruit trees 2 have fruited so far. One fruited last year and the fruit fell off this July and was not matured. But I have two of them with another crop for next year growing right now so we will see what happens. Only like 5 or 6 jackfruit per tree as my trees are only 3-4" diameter at base and pruned back in the fall and again late spring before they refill the greenhouse space again for another pruning lol. And I have been pruning the fruit sites to only have one fruit per fruiting twig, so there isn't any nutrient competition going on. And possibly weight capacity idk.

We also have two avocado trees growing at about 3-4" diameter trunks as well. 1 of them was started in 2015 and served it first 5 years in pots then the last portion in the earth inside the greenhouse. The other one was started 2018 and did two years in pots then to the earth. Haven't gotten any viable fruits. They have flowered multiple times and grew fruits to able large marble size but dropped. The jackfruit, avocado, and lemon trees were all in 30 gallon fabric pots before entering the earth 2020.

And we also have 4 citrus trees growing inside here as well 3 Lisbon lemons from seeds and a blood orange tree that was ordered online. I believe it is blood orange/rough lemon variety. I also have another blood orange tree that is Budd blood orange/sour orange variety that is in a 20 gallon pot. And that one in the pot has 2 oranges on it already and omg the flowers are delightful to the nose. Those breezy days are nice when those are flowering. That one orange in the pot is the only one that has flowered. It's trunk is only about an 1" and the blood orange in the earth has about 2" trunk. The lemons have about 3" trunks and have been growing since about 2018 the orange trees were 2019 and planted in the earth and the 20 gal pot 2020.  If there is any advice on flowering fertilizers I should be giving them please let me know.

We also have a couple pineapples growing in the earth as well and one of them has a full grown pineapple on it right now and it seems to just be starting to turn yellow. Last time we grew one in a pot it only go about the size of a grapefruit but we let it turn yellow on the plant before cutting it off and omg it was delightfully tastey. So I'm really excited for this one cuz it's full grown.

We also have a mango tree but it comes and goes with the seasons lol. Mid to late winter it looks likes it's gonna die is drops about half its leaves and they by late summer it's taking back off again and it's been in the ground since 2020 and been growing since 2018. We're actually thinking about taking it out this winter if it gets pathetic again.

Please any and all advice would be greatly appreciated for a better producing "indoor" tropical fruit orchard.

Thanks,

Mike
 
steward
Posts: 18189
Location: USDA Zone 8a
4627
dog hunting food preservation cooking bee greening the desert
  • Likes 1
  • Mark post as helpful
  • send pies
    Number of slices to send:
    Optional 'thank-you' note:
  • Quote
  • Report post to moderator
Have you tried adding compost or compost tea to your trees to help them flower?

Or maybe water the trees with water that has had egg shells or banana peels fermented?

Here is an article that might help:

https://www.planetnatural.com/forcing-spring-blossoms/
 
michael rowald
Posts: 69
Location: Southern illinois
18
  • Likes 2
  • Mark post as helpful
  • send pies
    Number of slices to send:
    Optional 'thank-you' note:
  • Quote
  • Report post to moderator

Anne Miller wrote:Have you tried adding compost or compost tea to your trees to help them flower?

Or maybe water the trees with water that has had egg shells or banana peels fermented?

Here is an article that might help:

https://www.planetnatural.com/forcing-spring-blossoms/

hello sorry about the delayed response. But yeah I have made a compost tea for them, egg shell fertilizer, and fish hydrolsate. I probably need to be more regimental with them tho. We also have our greenhouse deeply mulched and the trees tapping into the earth for most of their nutrient uptake.(mostly why I haven't fertilized regularly)but guess what, since I previously post that we have gotten 4 jackfruits this winter and one I just picked yesterday..... has anyone seen jackfruits in the snow @ 5° haha? I'm thinking next year we're gonna get a load of them, our other two trees are starting to flower and set fruits for next harvest season. Also our potted blood orange tree produced two oranges that were picked this last week and they were tasty! I'm just hoping our avocados, lemons, and blood orange tree that's in the ground produce this next season. Which of the fertilizers are best for spring blossoms? Our jackfruits obviously don't need anything, maybe something to make the fruit bigger, but I'm ok with the size they are, we got 8-10lbers about the size of a football.
20240115_145853.jpg
growing jackfruit in the snow
 
michael rowald
Posts: 69
Location: Southern illinois
18
  • Likes 5
  • Mark post as helpful
  • send pies
    Number of slices to send:
    Optional 'thank-you' note:
  • Quote
  • Report post to moderator
Here are some pics of our delightful tropical greenhouse....
20240112_133402.jpg
a segment of blood orange
20240111_103217.jpg
growing bananas in illinois
20231207_094240.jpg
[Thumbnail for 20231207_094240.jpg]
20231231_140700.jpg
citrus tree in a pot in a greenhouse
20230910_103617.jpg
growing pineapples in a cold climate
20220221_161413.jpg
[Thumbnail for 20220221_161413.jpg]
 
gardener
Posts: 2112
Location: Zone 6b
1297
forest garden fungi books chicken fiber arts ungarbage
  • Likes 4
  • Mark post as helpful
  • send pies
    Number of slices to send:
    Optional 'thank-you' note:
  • Quote
  • Report post to moderator
It's such a treat to have fresh tropical fruits in winter!
How's your greenhouse doing in the recent storm? Is one wood stove enough to heat up the whole place?
 
gardener
Posts: 1824
Location: the mountains of katuah, southern appalachia
595
forest garden trees foraging chicken food preservation wood heat
  • Likes 6
  • Mark post as helpful
  • send pies
    Number of slices to send:
    Optional 'thank-you' note:
  • Quote
  • Report post to moderator
fun stuff! might be worth trying some sub-tropical stuff like loquat. i’ve come close to getting ripe fruit on mine, which lives outside for most of my zone 6 or 7 winter. a little more protection and you might be in business.

other possibilities: black sapote (persimmon relative), monstera deliciosa, sapodilla, guava, pineapple guava.
 
pollinator
Posts: 369
Location: Appalachian Mountains
179
  • Likes 1
  • Mark post as helpful
  • send pies
    Number of slices to send:
    Optional 'thank-you' note:
  • Quote
  • Report post to moderator
Phosphates encourage blooming and fruit, so does red light spectrum.  However, bananas need a higher temp range and a longer daylength than a lot of things in order to fruit.  
 
michael rowald
Posts: 69
Location: Southern illinois
18
  • Likes 5
  • Mark post as helpful
  • send pies
    Number of slices to send:
    Optional 'thank-you' note:
  • Quote
  • Report post to moderator
Yeah the greenhouse has been fine. We have been burning the "good wood" alot with the temps we have been having. We finally broke freezing today for about an hour lol. The lowest temp we got to was 44° at about 4:30am when it was 1°with -13° wind chill. We have a double barrel stove and a couple fans to circulate the air a bit. The greenhouse also has double layer poly that's inflated for the insulation factor.  But yeah everything has been doing good and the jackfruits were amazing. Can't wait to get more already. Haha.

Our dwarf cavendish banana in that pic is actually flowering there you can see the flag leaf and the torpedo tip coming out. Now our blue Java is still growing, just getting bent with a couple straps to keep it from growing into the ceiling. I'm hoping it flowers soon so we have multiple kinds of bananas this summer.

I was thinking about ordering some "down to earth" citrus mix fertilizer and just using that for all my tropicals. It says it works for citrus and avocados,check check I got those so why not for jackfruit, mango, and bananas lol.
 
michael rowald
Posts: 69
Location: Southern illinois
18
  • Likes 3
  • Mark post as helpful
  • send pies
    Number of slices to send:
    Optional 'thank-you' note:
  • Quote
  • Report post to moderator
Also the greenhouse is 20'W x 60'L x 10-12'H hoophouse if you want to know size comparison for heating. We also have the floor woodchipped deeply and the surrounding exterior chipped as well. And the north wall is insulated. The whole greenhouse is positioned on north and south so the hoops run east and west if you get that lol.
 
May Lotito
gardener
Posts: 2112
Location: Zone 6b
1297
forest garden fungi books chicken fiber arts ungarbage
  • Likes 3
  • Mark post as helpful
  • send pies
    Number of slices to send:
    Optional 'thank-you' note:
  • Quote
  • Report post to moderator
It's quite impressive the greenhouse can stay almost 50 F warmer than the outside.
Is your mango a dwarf or regular variety? In my hometown, mango tree are tall evergreen street trees. What other tropical fruit trees are suitable for growing in the greenhouse? Pomegranate? Dragon fruit? Guava?
 
michael rowald
Posts: 69
Location: Southern illinois
18
  • Likes 2
  • Mark post as helpful
  • send pies
    Number of slices to send:
    Optional 'thank-you' note:
  • Quote
  • Report post to moderator

May Lotito wrote:It's quite impressive the greenhouse can stay almost 50 F warmer than the outside.
Is your mango a dwarf or regular variety? In my hometown, mango tree are tall evergreen street trees. What other tropical fruit trees are suitable for growing in the greenhouse? Pomegranate? Dragon fruit? Guava?

Well woodstoves have been keeping us humans warm for a very long time, there is a reason they are still around. They work good!!

The mango I have growing is a seed from a fruit I ate in 2018. So I honestly have no clue what variety it is. But it's not super tall it's growing more bushy. But some of the other trees that are tall and in the ceiling are kinda bonsai "pruning/training" themselve. I'm not sure how to describe it really. But the bananas we have growing have been more of an issue cuz the leaves are stiff and actually push into the plastic film so I just cut the leaf stem 6 inches below the plastic film cuz I found out they push out more after they are cut. But our avocado, citrus, and jackfruit trees are doing the bonsai thing in the ceiling. The citrus actually stop growing thorns up by the ceiling for some reason other then not poking holes in my plastic for me haha. It's weird but I'm fine with it haha.

But there are plenty of things you can grow in a greenhouse. I just wish I had a huge greenhouse so I could literally grow it all 🤣
 
pollinator
Posts: 95
Location: Cascadian lowlands (8b, sunset zone 5)
31
  • Likes 2
  • Mark post as helpful
  • send pies
    Number of slices to send:
    Optional 'thank-you' note:
  • Quote
  • Report post to moderator

michael rowald wrote:
I expected the blue Java to get tall and be a possible issue but the dwarf Cavendish claimed to only get 8-10' tall which it's right there now



Just something to keep in mind, the reported maximum height for bananas is always measured from the ground to the end of the P-stem, NOT to the top of the emerging leaves, which can often require a clearance of 4 feet (or more) above the top of the P-stem. But since yours is starting to flower, you should be good now, as the flower hangs down when it emerges.

I would recommend chopping back the avocado trees heavily, to encourage bushier growth down low, rather than letting them self-prune from contact with the cold surface of the sheeting. The other thing is they need lots of water once they set fruit, if you want to decrease fruit drop, but also it's very normal for avocados to drop a lot of fruit at that pea size. Really good fruit set for avocado would be about 1 in 500 flowers holding their fruit to maturity, but it's also "normal" to be as low as 1 in 100,000 being held to maturity. So you need to maximize the number of flowers by encouraging more bushy/wide growth, and to prune them enough that they don't get close to the ceiling, where the colder temperatures might cause more fruit to abort compared to fruit that are further from the plastic sheeting.
 
michael rowald
Posts: 69
Location: Southern illinois
18
  • Likes 1
  • Mark post as helpful
  • send pies
    Number of slices to send:
    Optional 'thank-you' note:
  • Quote
  • Report post to moderator


Just something to keep in mind, the reported maximum height for bananas is always measured from the ground to the end of the P-stem, NOT to the top of the emerging leaves, which can often require a clearance of 4 feet (or more) above the top of the P-stem. But since yours is starting to flower, you should be good now, as the flower hangs down when it emerges.

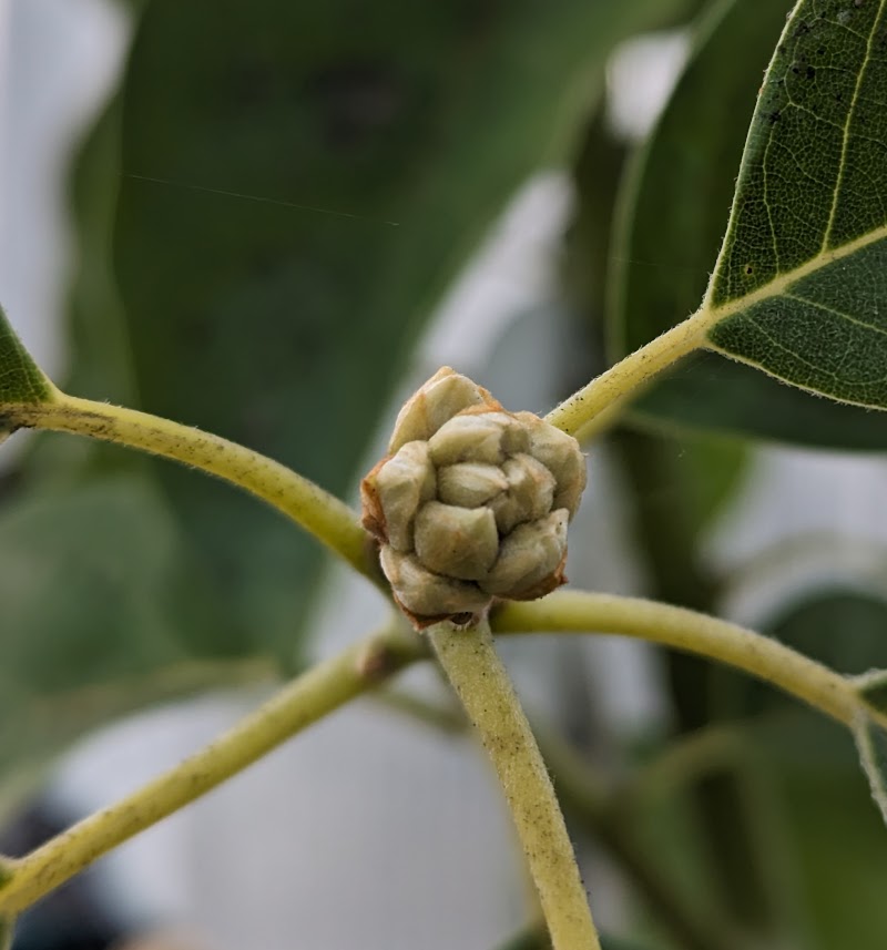
I would recommend chopping back the avocado trees heavily, to encourage bushier growth down low, rather than letting them self-prune from contact with the cold surface of the sheeting. The other thing is they need lots of water once they set fruit, if you want to decrease fruit drop, but also it's very normal for avocados to drop a lot of fruit at that pea size. Really good fruit set for avocado would be about 1 in 500 flowers holding their fruit to maturity, but it's also "normal" to be as low as 1 in 100,000 being held to maturity. So you need to maximize the number of flowers by encouraging more bushy/wide growth, and to prune them enough that they don't get close to the ceiling, where the colder temperatures might cause more fruit to abort compared to fruit that are further from the plastic sheeting. yeah I didn't realize that measure detail on the bananas but it's all good I have been making due with trimming the leaves that are too tall and I've even been managing to keep some of each leaf but some I have had to totally snip. But I do have atleast 5 full leaves on each tree and the rest are partial leaves but that's probably how it is in nature with wind storms and rain and such so I figured they would be fine. The blue Java banana I have a ratchet strap and a piece of hose around the stem to keep strap from cutting in and it's bending the stalk to avoid ceiling contact lol. Never heard of banana stem training? Lol jk. But it is working with some extra effort. Will report when it's flowering. The dwarf cavendish is the one flowering now and it's flower "tip" is at about 8 ft now and the base of the flower is at about 6.5ft so the flower is decently long I'm hoping it starts to bend over towards the south, I cut a window in the leaves so sun could pull it over that way in hopes it doesn't grow into the ceiling. The base of this banana is huge!!!

The avocado trees have both been topped earlier on for lower "scaffold" branches. But this year I think I'm gonna let them grow and see what happens fruit wise. Last year I trimmed them back like November. I was scared of them growing into the ceiling then I had to just let it be cuz they grew so fast I had no control haha. But they seemed to stunt themselves this summer because they realized the plastic was restricting upward growth. I also use a shade cloth on the greenhouse in the summer months due to heat issues, had some burning of leaves the first summer. But yeah by me not trimming the trees before this winter I think the extra "warmed" biomass inside here helps hold the heat better as well. Vs having all that open dead space in the greenhouse ceiling area for heat to just vaporize threw the ceiling lol.

Also my avocados havnt started flowering yet this year, I got a photo pop up from last year when it flowered and it was like 2 weeks ago. So maybe our tree is figuring it out or something, cuz I see zero flowers right now.
20240120_160222.jpg
Dwarf cavendish flower
Dwarf cavendish flower
20240120_160351.jpg
Dwarf cavendish trunk
Dwarf cavendish trunk
20240120_160459.jpg
Avocado tree structure
Avocado tree structure
20240120_160755.jpg
Blue Java banana manipulation
Blue Java banana manipulation
20240120_160858.jpg
Blue Java banana from back side
Blue Java banana from back side
 
michael rowald
Posts: 69
Location: Southern illinois
18
  • Mark post as helpful
  • send pies
    Number of slices to send:
    Optional 'thank-you' note:
  • Quote
  • Report post to moderator
Disregard the text in other post it got messed up with the quote thing..

Yeah I didn't realize that measure detail on the bananas but it's all good I have been making due with trimming the leaves that are too tall and I've even been managing to keep some of each leaf but some I have had to totally snip. But I do have atleast 5 full leaves on each tree and the rest are partial leaves but that's probably how it is in nature with wind storms and rain and such so I figured they would be fine. The blue Java banana I have a ratchet strap and a piece of hose around the stem to keep strap from cutting in and it's bending the stalk to avoid ceiling contact lol. Never heard of banana stem training? Lol jk. But it is working with some extra effort. Will report when it's flowering. The dwarf cavendish is the one flowering now and it's flower "tip" is at about 8 ft now and the base of the flower is at about 6.5ft so the flower is decently long I'm hoping it starts to bend over towards the south, I cut a window in the leaves so sun could pull it over that way in hopes it doesn't grow into the ceiling. The base of this banana is huge!!!

The avocado trees have both been topped earlier on for lower "scaffold" branches. But this year I think I'm gonna let them grow and see what happens fruit wise. Last year I trimmed them back like November. I was scared of them growing into the ceiling then I had to just let it be cuz they grew so fast I had no control haha. But they seemed to stunt themselves this summer because they realized the plastic was restricting upward growth. I also use a shade cloth on the greenhouse in the summer months due to heat issues, had some burning of leaves the first summer. But yeah by me not trimming the trees before this winter I think the extra "warmed" biomass inside here helps hold the heat better as well. Vs having all that open dead space in the greenhouse ceiling area for heat to just vaporize threw the ceiling lol.

Also my avocados havnt started flowering yet this year, I got a photo pop up from last year when it flowered and it was like 2 weeks ago. So maybe our tree is figuring it out or something, cuz I see zero flowers right now.
 
May Lotito
gardener
Posts: 2112
Location: Zone 6b
1297
forest garden fungi books chicken fiber arts ungarbage
  • Mark post as helpful
  • send pies
    Number of slices to send:
    Optional 'thank-you' note:
  • Quote
  • Report post to moderator
I know that it's normal for citrus to bloom in winter but is it off season for banana to flower in January? What triggers a banana to bloom? Does it have to do with a warmer December last year? I am just wondering how the greenhouse environment could affect the blòoming and fruit setting of tropical trees.
 
Winn Sawyer
pollinator
Posts: 95
Location: Cascadian lowlands (8b, sunset zone 5)
31
  • Mark post as helpful
  • send pies
    Number of slices to send:
    Optional 'thank-you' note:
  • Quote
  • Report post to moderator

May Lotito wrote:I know that it's normal for citrus to bloom in winter but is it off season for banana to flower in January? What triggers a banana to bloom?



Bananas bloom based on their size, so it will happen pretty much any time of year as long as it is warm enough for the plant to be actively growing. The flower forms way down in the base of the plant and slowly makes its way up the pseudostem before emerging. I don't think any environmental factors trigger it, other than to the degree those factors influence the growth rate.
 
Winn Sawyer
pollinator
Posts: 95
Location: Cascadian lowlands (8b, sunset zone 5)
31
  • Mark post as helpful
  • send pies
    Number of slices to send:
    Optional 'thank-you' note:
  • Quote
  • Report post to moderator

michael rowald wrote:
Also my avocados havnt started flowering yet this year, I got a photo pop up from last year when it flowered and it was like 2 weeks ago. So maybe our tree is figuring it out or something, cuz I see zero flowers right now.



My greenhouse avocados (all grafted) are covered in very early stage flower buds, but I let it get down into the 30s (F) at night, so I don't expect them to start opening until a month or more from now. My largest trees have been in the ground in the greenhouse since 2021, and are about 8' tall and 6-8' wide. In the ground I have three trees that size, and two smaller (6' tall x 3' wide) that were planted in the ground in late 2022 and about a year ago.

They were all quite a bit smaller last year and flowered well, but no fruit set. Could have been too cold for pollen tube formation, or maybe just not enough flowers. Hoping for at least 3x, maybe 5x more flowers this year.

Below are some photos showing current flower stage for some of my varieties.

Walter Hole:


Jade:


Duke:
avocado flowers on different varieties
 
michael rowald
Posts: 69
Location: Southern illinois
18
  • Mark post as helpful
  • send pies
    Number of slices to send:
    Optional 'thank-you' note:
  • Quote
  • Report post to moderator
Nice!!! Do you have to heat where your located? How big is your greenhouse? How far apart did you plant yours?

I have two rows going the length of my greenhouse my rows are about 10-12' apart and trees are 6' apart on the rows so they can really only get 5-6' thick x 10' wide x 8-10' tall. I know they are close but it's an experiment and we have the floor heavily mulched so there should be plenty of biology in the ground here to keep them all happy and no serious competition with each other considering their limited size capabilities. I know last year our younger avocado tree was it's first year flowering and our older tree actually set fruit this time but fell off once some of them got to about marble size, had a few grape size that lasted longer but fell off too. I'm hoping this year we get some mature fruits on the older one since our younger one should have more flowers this year maybe more pollination will help. And I think if any fruit sets on the younger tree this year I'll just pick it off so it can mature another year before even waisting the time on it this year. But my older tree I'll let it go and see what happens.🤞  Im hoping my big citrus trees flower this year too, cuz those are amazing to the nose. I've only had like 5 flowers on my small potted one last spring and you could smell that like 50ft away can't imagine an entire tree full!!
 
Winn Sawyer
pollinator
Posts: 95
Location: Cascadian lowlands (8b, sunset zone 5)
31
  • Likes 1
  • Mark post as helpful
  • send pies
    Number of slices to send:
    Optional 'thank-you' note:
  • Quote
  • Report post to moderator

michael rowald wrote: Nice!!! Do you have to heat where your located? How big is your greenhouse? How far apart did you plant yours?



This winter I'm using very limited heat, really only to prevent freezing temperatures. So I had two 1.5kW electric heaters running full-blast last week during our 6-day severe freeze (low of 14.7°F outside), but apart from that I've only had to run a heater in there for a few nights this winter.

The greenhouse is pretty small, 22' long by 14' wide by 13.5' tall at the peak (9.5' at the sides). It will be very cramped as the trees fill in the space. Here's a very rough sketch of layout that I just made, all the red text are avocado cultivars, with multiple varieties grafted on a few of the trees:


There are a few other small things in the ground in there, like a dragonfruit and a Monstera deliciosa, but everything except the avocados will likely be on the chopping block as the avocados spread to fill the space.
 
michael rowald
Posts: 69
Location: Southern illinois
18
  • Likes 1
  • Mark post as helpful
  • send pies
    Number of slices to send:
    Optional 'thank-you' note:
  • Quote
  • Report post to moderator
That's pretty cold for even two electric heaters. We have a smaller 10'×30' greenhouse that we initially thought we could heat like that but found out the hard way that it wouldn't. That's when we first looked into the barrel stoves. We put a single barrel stove in there for that greenhouse while our tropicals were still in their 30gal bags then got the bigger greenhouse fixed up for them in the ground and jumped to the double barrel stove since it was like twice the size. Been working good but we live at the southern most tip of Illinois so we do get pretty cold here, not much winter precip but cold that's forsure.

Looks like you crammed yours in there just like I did haha. Pretty cool that you have multiple varieties grafted to each tree. How well does that work? I have a "fruitcocktail" apple tree and peach/plum tree, apple is fuji, yellow delicious, and gala and the peach/plum is like 4 peach varieties and a Bruce plum. I havnt yet gotten fruit off them well not edible fruit yet. The first year I put them in the ground the peach/plum set fruit then it all dropped. Nothing last year but growth, so hoping this year maybe some fruit. How well do multi grafted trees grow,produce, and last?

I've been thinking about doing some grafting with my citrus trees. I have 3 lemons and an orange planted in the ground. Was thinking about grafting some limes and grapefruit to the lemon tree that doesn't taste as good when they produce. So I have more variety. I guess I could do that with the avocados too but I'm not sure about mail order Scion wood or even bud tissue culture. Seems very risky. But if it was cheap enough maybe. I'd like to do that with my one mango I have growing too. Would probably help with pollination on it as well.
 
Winn Sawyer
pollinator
Posts: 95
Location: Cascadian lowlands (8b, sunset zone 5)
31
  • Likes 2
  • Mark post as helpful
  • send pies
    Number of slices to send:
    Optional 'thank-you' note:
  • Quote
  • Report post to moderator
That freeze last week was the coldest it has been in the 7 years I've lived here, but we do typically get one bad freeze every year or two, usually in the upper teens for a night or two. Apart from that, most of the winter our low is just above or slightly below freezing, rarely below the mid-20s.

I usually only have a single electric heater that is plugged into a "thermo cube" so that it turns on when the greenhouse gets to about 36°F, and usually it only runs once every few weeks for a few 30-minute bursts on a cold night. The one heater can maintain a ∆ of about 14°F vs outside. On those rare occasions where it's necessary for a greater ∆ than that, two heaters seem to do the trick for my location. The greenhouse is glazed with twin wall 8mm polycarbonate panels, which have a pretty good R value.

As far as multi-graft trees, I think they produce just as well as trees with a single variety, and should last just as long, the only issue is the pruning is a bit more complicated because you have to prune for "balance" more than anything. By which I mean you need to keep the more vigorous varieties from overtaking the others, and hack them back more than you might want. I've noticed that with Duke on my trees. But I'm pretty new to grafting, these trees were my first grafts about 3 years ago. Though I've done hundreds of grafts since then, none are fruiting size yet. Mostly they have been small trees I've distributed to project members, or things I've planted in my yard that haven't fruited yet.

My reason for the multi-graft avocados is to maximize the genetic diversity of the seeds produced in the greenhouse, since the primary purpose of the greenhouse is to provide seeds for the avocado breeding effort I'm organizing. If my primary purpose were just to have avocados to eat, I'd just do one variety per tree for easier maintenance.

When you say mail-order avocado scionwood is risky, do you mean because of diseases? It is true that there are various quarantine zones, and things like sunblotch viroid or Verticillium wilt can be easily spread by cuttings. I have had a few scares with both of them when getting cuttings on Etsy or other forums. But I think you'd be pretty safe ordering scionwood from somewhere with a good reputation like tropical acres (that is the order form, here's the list that actually describes all the varieties). Most of my varieties were from the UC avocado grove, but they don't do mail order, you have to be able to pick it up from their Riverside campus in person.

Citrus cuttings are far more risky, with the HLB "greening" disease rampant in many citrus growing regions, and easily spread by grafting. I ordered my scionwood from the CCPP program in California, but that's pretty pricey. You're better off just ordering a grafted tree from a nursery unless you want something rare, it'll probably even be cheaper.
 
michael rowald
Posts: 69
Location: Southern illinois
18
  • Likes 1
  • Mark post as helpful
  • send pies
    Number of slices to send:
    Optional 'thank-you' note:
  • Quote
  • Report post to moderator

Winn Sawyer wrote:That freeze last week was the coldest it has been in the 7 years I've lived here, but we do typically get one bad freeze every year or two, usually in the upper teens for a night or two. Apart from that, most of the winter our low is just above or slightly below freezing, rarely below the mid-20s.

I usually only have a single electric heater that is plugged into a "thermo cube" so that it turns on when the greenhouse gets to about 36°F, and usually it only runs once every few weeks for a few 30-minute bursts on a cold night. The one heater can maintain a ∆ of about 14°F vs outside. On those rare occasions where it's necessary for a greater ∆ than that, two heaters seem to do the trick for my location. The greenhouse is glazed with twin wall 8mm polycarbonate panels, which have a pretty good R value.

As far as multi-graft trees, I think they produce just as well as trees with a single variety, and should last just as long, the only issue is the pruning is a bit more complicated because you have to prune for "balance" more than anything. By which I mean you need to keep the more vigorous varieties from overtaking the others, and hack them back more than you might want. I've noticed that with Duke on my trees. But I'm pretty new to grafting, these trees were my first grafts about 3 years ago. Though I've done hundreds of grafts since then, none are fruiting size yet. Mostly they have been small trees I've distributed to project members, or things I've planted in my yard that haven't fruited yet.

My reason for the multi-graft avocados is to maximize the genetic diversity of the seeds produced in the greenhouse, since the primary purpose of the greenhouse is to provide seeds for the avocado breeding effort I'm organizing. If my primary purpose were just to have avocados to eat, I'd just do one variety per tree for easier maintenance.

When you say mail-order avocado scionwood is risky, do you mean because of diseases? It is true that there are various quarantine zones, and things like sunblotch viroid or Verticillium wilt can be easily spread by cuttings. I have had a few scares with both of them when getting cuttings on Etsy or other forums. But I think you'd be pretty safe ordering scionwood from somewhere with a good reputation like tropical acres (that is the order form, here's the list that actually describes all the varieties). Most of my varieties were from the UC avocado grove, but they don't do mail order, you have to be able to pick it up from their Riverside campus in person.

Citrus cuttings are far more risky, with the HLB "greening" disease rampant in many citrus growing regions, and easily spread by grafting. I ordered my scionwood from the CCPP program in California, but that's pretty pricey. You're better off just ordering a grafted tree from a nursery unless you want something rare, it'll probably even be cheaper.


Ahh so your in a much more stable environment then me. Idk how the weather people around here can even say the word "average". We fluctuate so often like 3 days ago it was 5° during the day full sun. Today is 48° zero sunshine lol. And rainy.  But having just a heater plugged in would be nice to keep things alive. I'm forced to do it a bit harder way. But it's working. Yeah having that glazing you have is pretty decent. I know it can be pricey tho. Idk how it compares to double layer poly 6mil thick sheets with a good 4inch air gap or better in some places. And idk how to even calculate r value for my setup lol. But it definatly works better then single layer.

That's good the multi grafted tree do good and last. I was wondering about that. But thanks for the advice on the taming each to be even with eachother. I noticed my plum on the peach/plum tree is really gaining momentum I probably need to trim it back like you said even things out so I don't get a dominate leader cuz that's what the plum is doing now forsure.

But yeah it seems to me getting the tissue cultures would be better to get it directly off the tree and run straight home with it to graft on. All the "dead" time of mailing is risking an already risky procedure lol let alone the diseases that could be spread. My orange tree I have was a bare root tree ordered online everything else was seeds from fruit so shouldn't have disease pass threw seeds. Wouldn't think anyway...
 
Winn Sawyer
pollinator
Posts: 95
Location: Cascadian lowlands (8b, sunset zone 5)
31
  • Likes 1
  • Mark post as helpful
  • send pies
    Number of slices to send:
    Optional 'thank-you' note:
  • Quote
  • Report post to moderator

michael rowald wrote:
everything else was seeds from fruit so shouldn't have disease pass threw seeds. Wouldn't think anyway...



Unfortunately that's not true for avocados. The avocado sunblotch viroid (ASBVd) can spread via infected pollen, resulting in fruit that has infected seeds in it even if the mother tree is not infected. Most diseases do not spread by seed, you are correct, but that's a major exception for avocados at least. Even worse, seedlings that are grown from such seeds typically do not show ASBVd symptoms, but anything grafted onto them becomes infected and often shows symptoms, and the viroid can also pass to nearby trees if their roots come in contact.

As to your other concern about the viability of avocado cuttings, I've successfully grafted scions that were cut months earlier, as long as they've been stored in sufficient humidity without excessive warmth or freezing temperatures, budwood can remain viable for a lot longer than you might think!

 
michael rowald
Posts: 69
Location: Southern illinois
18
  • Mark post as helpful
  • send pies
    Number of slices to send:
    Optional 'thank-you' note:
  • Quote
  • Report post to moderator

Winn Sawyer wrote:

michael rowald wrote:
everything else was seeds from fruit so shouldn't have disease pass threw seeds. Wouldn't think anyway...



Unfortunately that's not true for avocados. The avocado sunblotch viroid (ASBVd) can spread via infected pollen, resulting in fruit that has infected seeds in it even if the mother tree is not infected. Most diseases do not spread by seed, you are correct, but that's a major exception for avocados at least. Even worse, seedlings that are grown from such seeds typically do not show ASBVd symptoms, but anything grafted onto them becomes infected and often shows symptoms, and the viroid can also pass to nearby trees if their roots come in contact.

As to your other concern about the viability of avocado cuttings, I've successfully grafted scions that were cut months earlier, as long as they've been stored in sufficient humidity without excessive warmth or freezing temperatures, budwood can remain viable for a lot longer than you might think!

wow I would not have thought a disease could pass like that. That kind of sucks. What are the symtoms of this disease?

Hmm the grafting stuff does sounds interesting for sure and I'm going to have to plan an experiment sometime. I've seen alot of you tube videos on it and looks simple if you know what your doing. I've done plenty of tissue culture cuttings with different things, plenty of crazy training techniques with certain plants/trees but never have I done any Frankenstein experiments with plants haha so it sounds like the next step to my greenthumbery!!!
 
Winn Sawyer
pollinator
Posts: 95
Location: Cascadian lowlands (8b, sunset zone 5)
31
  • Mark post as helpful
  • send pies
    Number of slices to send:
    Optional 'thank-you' note:
  • Quote
  • Report post to moderator
This article is a great overview of ASBVd, here's the abstract:

This review collects information about the history of avocado and the economically important disease, avocado sunblotch, caused by the avocado sunblotch viroid (ASBVd). Sunblotch symptoms are variable, but the most common in fruits are irregular sunken areas of white, yellow, or reddish color. On severely affected fruits, the sunken areas may become necrotic. ASBVd (type species Avocado sunblotch viroid, family Avsunviroidae) replicates and accumulates in the chloroplast, and it is the smallest plant pathogen. This pathogen is a circular single-stranded RNA of 246–251 nucleotides. ASBVd has a restricted host range and only few plant species of the family Lauraceae have been confirmed experimentally as additional hosts. The most reliable method to detect ASBVd in the field is to identify symptomatic fruits, complemented in the laboratory with reliable and sensitive molecular techniques to identify infected but asymptomatic trees. This pathogen is widely distributed in most avocado-producing areas and causes significant reductions in yield and fruit quality. Infected asymptomatic trees play an important role in the epidemiology of this disease, and avocado nurseries need to be certified to ensure they provide pathogen-free avocado material. Although there is no cure for infected trees, sanitation practices may have a significant impact on avoiding the spread of this pathogen.



Here's a figure from the paper, showing symptoms on fruit, stems, and leaves (but a significant percentage of infected trees show no symptoms):
 
michael rowald
Posts: 69
Location: Southern illinois
18
  • Mark post as helpful
  • send pies
    Number of slices to send:
    Optional 'thank-you' note:
  • Quote
  • Report post to moderator
Check out the dwarf cavendish banana progress!!! Flower done flopped out and over and showing bananas!!! 🍌 🍌 🍌  lots of them actually. If we get 12+ on each of the "petals" of the flower were looking at about 150ish banana on this one plant. I'm super excited and can't wait to taste them. Two of the pedal had 12ish bananas in between so that's where I'm getting that number from haha. But one of the pedals might have more then 12 actually cuz there is a second row showing now so might be 24 per pedal crevice. Lol
20240130_170608.jpg
bananas inside cavendish flower
 
Never trust an airline that limits their passengers to one carry on iguana. Put this tiny ad in your shoe:
Large Lot for Sale Inside an Established Permaculture Community — Bejuco, Costa Rica
https://permies.com/t/366607/Large-Lot-Sale-Established-Permaculture
reply
    Bookmark Topic Watch Topic
  • New Topic